東6m、波2m、晴れ、気温25℃、水温25℃
サンゴ礁モニタリング調査の2回目に参加しました。
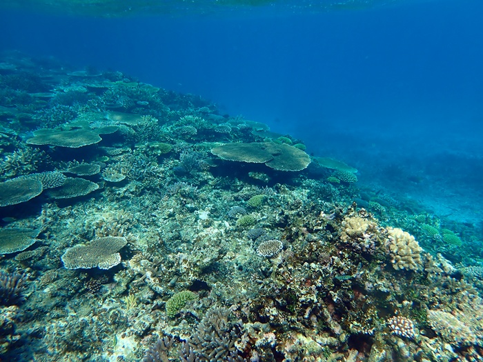
今回4ポイントの予定が海が荒れて池間島の沖2ポイントのみに変更。
去年の大規模白化でかなりのサンゴが死んでしまいましたが、場所によってはかなりの数のサンゴが残っていて、小さいサンゴも沢山出てきていて復活の兆しがちょこちょこありました。
このまま順調に増えていって欲しいです。







島日和は日本セーフティパドリング協会(JSPA)のA公認スクールです。
PROFILE

- 島日和 代表
- 大阪出身、コンサルティング会社、大工見習、住宅営業、レンタカー等様々な仕事を経験したのち、2006年島日和を開業。
島で一番安全にカヤックやSUPを漕ぐ楽しさを伝えられるショップを目指し、様々な取り組みをしています!
所持資格:JSPAシーカヤックアドバンストインストラクター
JSPAリバーカヤックアドバンストインストラクター
JSPA-SUPベーシックインストラクター
JSPAシーカヤックベーシックインストラクター検定員
PADIダイビングインストラクター
潜水士 等
令和6年・7年宮古島海上保安部宮古ブルー安全推進アドバイザー
最新の投稿
半日シーカヤックプライベートツアー2026-04-14半日シーカヤックプライベートツアー
半日シーカヤックシングル艇ツアー2026-04-13半日シーカヤックシングル艇ツアー
研修・トレーニング2026-04-08JSPAシットオントップカヤックベーシックインストラクター検定会開催のお知らせ
半日シーカヤックシングル艇ツアー2026-03-22半日シーカヤックシングル艇ツアー


